Taking a closer look, Jonas discovered that leaf arrangement is just the beginning. When he was sketching, he had to observe several other leaf details: blade width, simple or compound, venation, and leaf margin. All of these leaf characteristics help botanists (scientists whose specialty area is plants), to correctly identify an existing plant or declare a newly discovered plant. Read through this slideshow to learn about more leaf details.
Blade WidthLeaves exhibit either a broad or narrow blade width. Broad leaves are wide enough to show a vein pattern. Veins are structures that transport nutrients throughout the leaf. Narrow leaves are either scalelike or needlelike.
Simple or CompoundA simple leaf has one blade attached to the node by a petiole, the stalk that attaches a blade to the stem. A compound leaf has a blade divided into leaflets that are attached by a petiole. Leaflets can be arranged in a palmate pattern, joined at one central point and branching out like fingers on a hand. Or leaflets can be arranged in a pinnate pattern, branching out like a feather.
VenationVenation is the pattern the veins of a leaf makes on a broad leaf. Palmate venation is when the veins branch out from a central point, like fingers on a hand. Pinnate venation is when the veins branch out from a main vein, the midrib, like a feather. Parallel venation is when all the veins run the entire length of a blade, parallel to each other.
Leaf MarginThe leaf margin, the outer edge, can be smooth, lobed, or toothed. Smooth leaf margins have a continuous edge. Lobed leaf margins have curvy projections along its edge. Toothed leaf margins have jagged edges. |
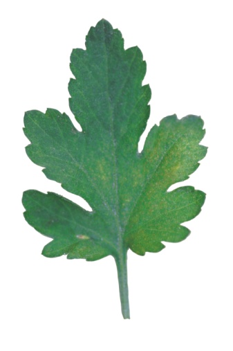
Here are two of Jonas's plant sketches. Use the dichotomous key below to identify each plant, one at a time.
![]() |
![]() |
Plant A |
Plant B |
1A Flowers...............................................Go to line 2
1B No flowers...........................................Go to line 3
2A Has needlelike leaves.......................Flowering cactus
2B No needlelike leaves.........................Go to line 4
3A Cones..................................................Pine tree
3B No cones.............................................Go to line 4
4A One leaf per node..............................Go to line 5
4B More than one leaf per node.............Go to line 6
5A Parallel venation..................................Lily
5B Palmate venation................................Urena heterophylla
6A Two leaves per node..........................Go to line 7
6B More than two leaves per node.........Go to line 8
7A Smooth edge.......................................Euphorbia hyberna
7B Toothed edge......................................Viburnum
8A Smooth edge.......................................Lysimachia vulgaris
8B Toothed edge..................................... Ageratum conyzoides
Question
What are the identities of Plants A and B?












